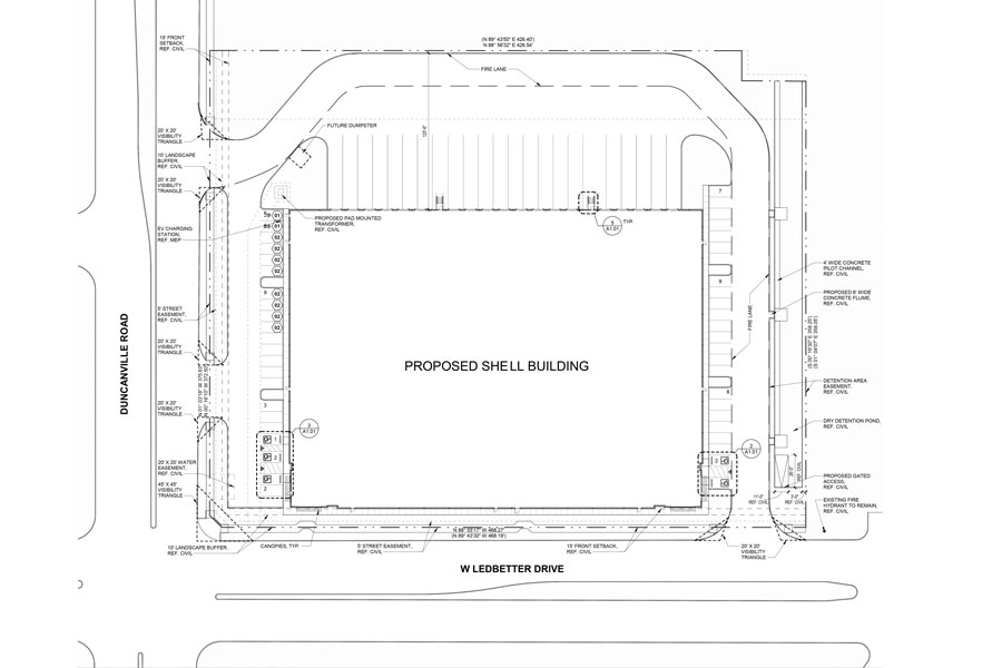
Duncanville Road Industrial LOCATION Dallas, Texas 75233 Duncanville Rd & W Ledbetter Dr OVERVIEW 4.17 Acres 79,680 Square Feet 19 Dock Doors 32’ Clear Height